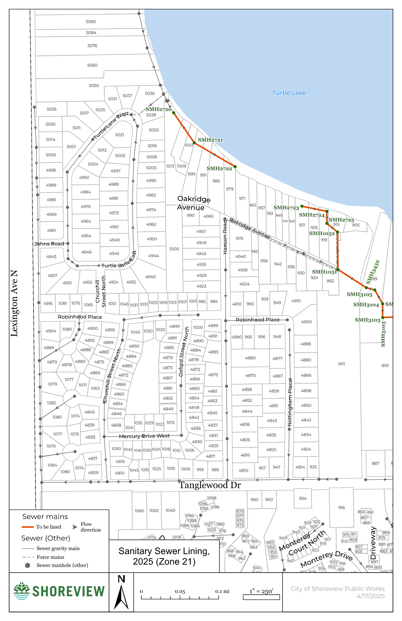
Sanitary Sewer Lining public works project

  • Project schedule2026
  • Contractor nameVeit Inc.

Sanitary Sewer Lining Project

Many of Shoreview's sanitary sewer mains were constructed in the 1950s and 1960s, with clay pipe. Over time the pipe joints have failed, allowing tree roots and stormwater soaking in the ground to enter the sewer. This pipe material is also susceptible to cracking. Shoreview is replacing aging sanitary sewer pipes as part of our commitment to maintain the public sewer system. Traditional construction methods of digging and replacing the pipe are costly, inconvient to residents, and dig up roads and yards. 

This project will use a trenchless construction method, also called pipe lining, which constructs a new pipe inside the existing one without digging up yards or the street. A length of pipe is usually completed in one working day. Service line connections are reopened using a robotic cutter and remote cameras.

No special assessments will be associated with this project. The project is funded through the sanitary sewer fund.

The city council awarded the contract for the project to Veit, Inc. Residents affected by the project will receive a doorhanger with specific dates for the work to take place. You may be asked to limit water usage during that time.

Schedule:

The project is underway, and will be completed in two phases, each taking less than a day:

Phase 1 - clean the pipe 

Phase 2 - line the pipe (installing the new pipe inside the old one)

Sanitary-Sewer-Lining-Maps-1.png

Sanitary-Sewer-Lining-Maps-2.png

Sanitary-Sewer-Lining-Maps-4.png

Sanitary-Sewer-Lining-Maps-3.png